1019/2021. (I. 28.) Korm. határozat
1019/2021. (I. 28.) Korm. határozat
a Nemzeti Cirkuszművészeti Központ részeként a Baross Imre Artistaképző Intézet Előadó-művészeti Szakgimnázium, Gimnázium és Alapfokú Táncművészeti Iskola elhelyezését célzó beruházással összefüggő intézkedésekről
A Kormány a Nemzeti Cirkuszművészeti Központ elhelyezésével összefüggő intézkedésekről szóló 1495/2019. (VIII. 2.) Korm. határozatban foglalt célok végrehajtása érdekében
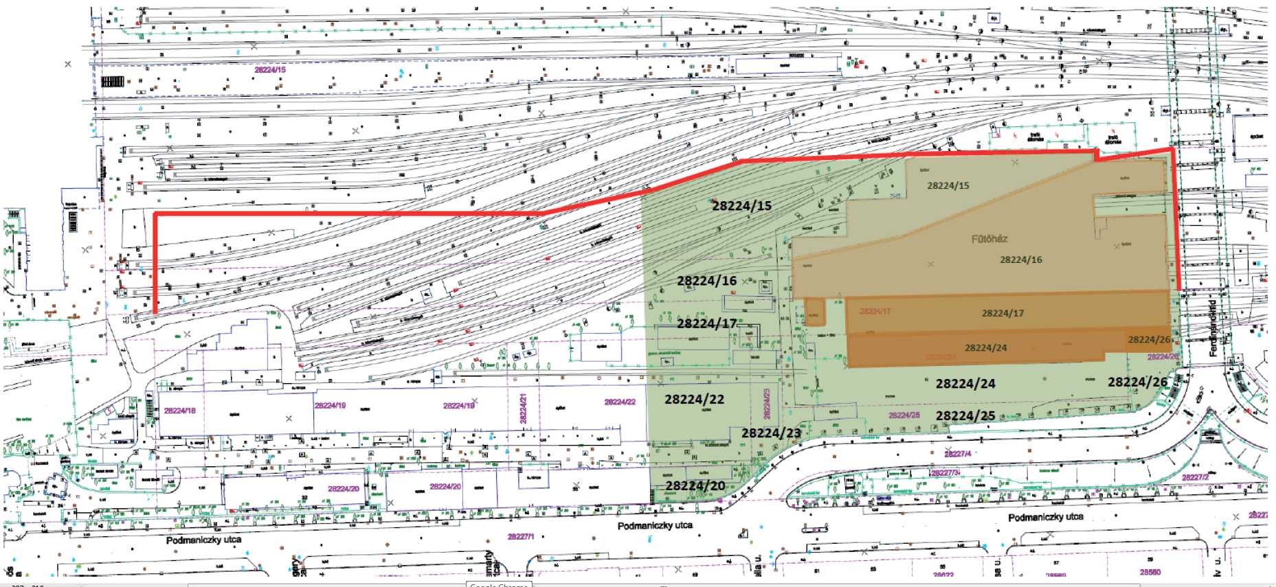
1. egyetért az ingatlan-nyilvántartás szerinti Budapest VI. kerület, belterület 28224/15, 28224/16, 28224/17, 28224/20, 28224/22, 28224/23, 28224/24, 28224/25 és 28224/26 helyrajzi számú ingatlanokon, természetben a Nyugati pályaudvar melletti, Eiffel tér – vasúti pálya – Ferdinánd híd – Podmaniczky utca által határolt területen a Nemzeti Cirkuszművészeti Központ fenntartásában működő Baross Imre Artistaképző Intézet Előadó-művészeti Szakgimnázium, Gimnázium és Alapfokú Táncművészeti Iskola elhelyezésével (a továbbiakban: Beruházás), és jóváhagyja a Beruházás koncepcióját;
2. a Beruházás előkészítésének kormányzati felelőseként az emberi erőforrások miniszterét jelöli ki;
3. egyetért azzal, hogy a Beruházás
a) előkészítője az emberi erőforrások minisztere együttműködésével és szakmai felügyeletével a Nemzeti Artista-, Előadó- és Cirkuszművészeti Központ Nonprofit Korlátolt Felelősségű Társaság (székhely: 1146 Budapest, Állatkerti út 12. a. ép., adószám: 20671675-2-42, cégjegyzékszám: 01-09-912823) (a továbbiakban: Központ),
b) megvalósítója a Beruházási Ügynökség
legyen;
4. egyetért azzal, hogy a Beruházásnak az állami magasépítési beruházásokról szóló 299/2018. (XII. 27.) Korm. rendelet 4. § a), b), c), e), f), g), l), n), o), p) pontja szerinti előkészítési fázisait, továbbá azokhoz kapcsolódóan egyéb, a Beruházás teljes körű előkészítésére irányuló, a Központ feladatkörébe tartozó intézkedéseket a Központ a rendelkezésére álló forrásainak terhére 2021. november 30. napjáig végezze el;
5. felhívja a nemzeti vagyon kezeléséért felelős tárca nélküli minisztert, hogy a Magyar Nemzeti Vagyonkezelő Zártkörűen működő Részvénytársaság (a továbbiakban: MNV Zrt.) és a MÁV Magyar Államvasutak Zártkörűen Működő Részvénytársaság közreműködésével gondoskodjon
a) a Budapest VI. kerület, belterület 28224/15 és 28224/16 helyrajzi számú ingatlanoknak kizárólagosan a magyar állam tulajdonába történő kerüléséről,
b) az a) pont szerinti ingatlanok megosztásáról oly módon, hogy – amennyiben az lehetséges – a vasútüzemhez nem szükséges területeknek az 1. mellékletben meghatározott részei önálló ingatlanként kerüljenek kialakításra;
Felelős: nemzeti vagyon kezeléséért felelős tárca nélküli miniszter
Határidő: 2021. június 30.
6. felhívja a nemzeti vagyon kezeléséért felelős tárca nélküli minisztert, hogy az MNV Zrt. közreműködésével gondoskodjon az ingatlan-nyilvántartás szerinti Budapest VI. kerület belterület 28224/17, 28224/20, 28224/22 és 28224/26 helyrajzi számú ingatlanok megosztásáról oly módon, hogy a vasútüzemhez nem szükséges területeknek az 1. mellékletben meghatározott részei önálló ingatlanként kerüljenek kialakításra;
Felelős: nemzeti vagyon kezeléséért felelős tárca nélküli miniszter
Határidő: 2021. augusztus 15.
7. felhívja a nemzeti vagyon kezeléséért felelős tárca nélküli minisztert, hogy az emberi erőforrások minisztere bevonásával – az MNV Zrt. közreműködésével – tegye meg a szükséges intézkedéseket
a) az ingatlan-nyilvántartás szerinti Budapest VI. kerület, belterület 28224/15, 28224/16 helyrajzi számú ingatlanok 5. pont a) és b) alpontja szerinti, valamint a Budapest VI. kerület, belterület 28224/17, 28224/20, 28224/22 és 28224/26 helyrajzi számú ingatlanok 6. pont szerinti megosztásával létrejövő ingatlanoknak és a Budapest VI. kerület, belterület 28224/23, 28224/24 és 28224/25 helyrajzi számú ingatlanoknak az összevonása érdekében, valamint
b) az a) pont szerint létrejövő új ingatlannak a Központ részére történő vagyonkezelésbe adása érdekében azzal, hogy vizsgálja meg az ingyenes vagyonkezelésbe adás feltételeit, és ezek fennállása esetén tegye meg a szükséges intézkedéseket az ingyenes vagyonkezelésbe adás érdekében;
Felelős: nemzeti vagyon kezeléséért felelős tárca nélküli miniszter
emberi erőforrások minisztere
Határidő: 2021. december 31.
8. felhívja a nemzeti vagyon kezeléséért felelős tárca nélküli minisztert, hogy a Beruházás megvalósítása érdekében lefolytatott feltételes közbeszerzési eljárás eredménye alapján készítsen előterjesztést a Kormány részére a Beruházás megvalósításáról, a kivitelezéshez kapcsolódó kötelezettségvállalási összeg és a kifizetések ütemezésének bemutatásával;
Felelős: nemzeti vagyon kezeléséért felelős tárca nélküli miniszter
Határidő: a Beruházás megvalósítását célzó feltételes közbeszerzési eljárás lefolytatását követően
9. a Beruházás során létrejövő vagyonelemek jövőbeni vagyonkezelőjének a Központot jelöli ki.
1. melléklet az 1019/2021. (I. 28.) Korm. határozathoz

- Hatályos
- Már nem hatályos
- Még nem hatályos
- Módosulni fog
- Időállapotok
- Adott napon hatályos
- Közlönyállapot
- Indokolás
